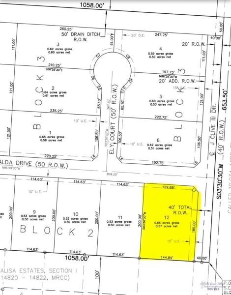
Excellent 1/2 Acre Residential Corner Lot in rapidly growing area. Ready to build. This property is conveniently located near major shopping centers and highly-rated schools, making them an ideal choice to build your dream home. The area is considered outside of City of Brownsville (County) meaning no City Taxes. All Lots will have 2 septic tanks installed, there will be gas services (Texas Gas), water (El Jardin), and electricity (Magic Valley) available. Schedule your Tour Soon. This is a new subdivision and property taxes have not yet been established.
Property Details
Price:
$157,500
MLS #:
29772114
Status:
Active
Baths:
0
Type:
Land
Subdivision:
ELY MONALISA ESTATES SEC 2 PH 1
Listed Date:
Feb 14, 2026
Lot Size:
28,749 sqft / 0.66 acres (approx)
Schools
School District:
LOS FRESNOS C.I.S.D.
Elementary School:
LOS FRESNOS
Middle School:
LOS FRESNOS
High School:
LOS FRESNOS
Interior
Utilities
Electricity Available, Septic, Water Available
Exterior
Improvements
None
Financial
Map
Contact Us
Mortgage Calculator
Similar Listings Nearby

Lot 12 ESMERALDA DR #Lot 12
BROWNSVILLE, TX


